++ Grundstück an der Theodor-Heuss-Straße - Mischgebiet ++
248.000 €
Kaufpreis
immobilien.de Nr.: 9302150
Objektnummer: 583987
Preise & Kosten
| Kaufpreis | 248.000 € |
| Nebenkosten | keine Angabe |
| Kaufpreis pro m² | 800 € |
Größe & Zustand
| Grundstücksfläche | 310 m² |
| Verfügbar ab | keine Angabe |
Objektbeschreibung
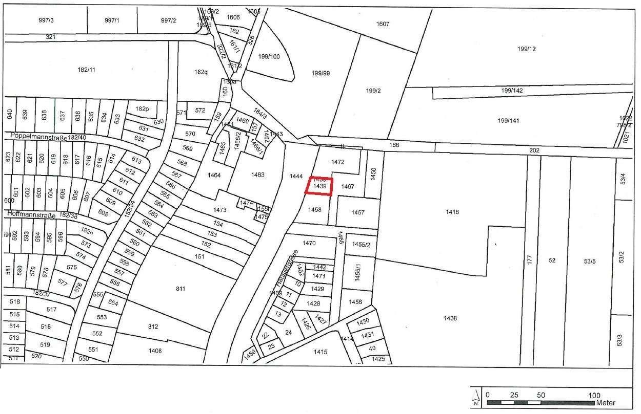
Bei diesem Verkaufsobjekt handelt es sich um unbebautes Grundstück im Stadtteil Paunsdorf. Das Flurstück verfügt über eine Grundstücksgröße von ca. 310 m² und ist derzeit mit Bäumen bewachsen.
Es befindet sich im Geltungsbereich des B-Planes Nr. 81 "Alte Ortslage Paunsdorf", Ausweisung als Mischgebiet, GRZ 0,6, Geschossigkeit III. Eine Bebauung zu Wohnen ist möglich. Vergnügungsstätten sind nicht zulässig.
Es gibt eine erste Prüfung der baulichen Machbarkeit gemäß dem B-Plan. Vorgesehen ist eine offene Bauweise, innerhalb der definierten Baulinie und Baugrenze. Eine Bebauung mit drei Vollgeschossen ist möglich. Bei einer max. Versieglung von 60 %, inkl. Flächen für Stellplatz/Garagen ist eine max. Grundfläche von 180m² möglich. Nach Abzug einer Standard-Doppelgarage würden für den Baukörper ca. 126m² Grundfläche zur Verfügung stehen.
Unter Einhaltung der Abstandsflächen, links und rechts je 3m sowie nach hinten einen Garten mit 5m Tiefe (mind. 3m), ergibt sich für den Baukörper eine Bruttogrundfläche von ca. 90m². Nach der ersten Prüfung ergibt sich entsprechend eine vermietbare Fläche von ca. 70m² pro Vollgeschoss (Wohn- oder Gewerbefläche).
Das Grundstück ist trink- und abwasserseitig erschlossen.
" frisch, engagiert, solide "
Die Künne Immobilien Gruppe ist professioneller Dienstleister der Immobilienbranche und steht Ihnen in den Bereichen Projektentwicklung, Verkauf, Vermietung, Verwaltung und Facility Management zur Verfügung.
Für weitere Informationen und Einblicke besuchen Sie unsere Homepage: www.kuenne-gruppe.de Sie wollen Ihre Immobilie verkaufen? Egal ob Mehrfamilien- oder Einfamilienhaus, Eigentumswohnung, Grundstück oder Neubau- bzw. Bauträgerprojekt. Wir vermitteln kompetent, transparent und zügig Ihre Immobilie, bundesweit.
Es befindet sich im Geltungsbereich des B-Planes Nr. 81 "Alte Ortslage Paunsdorf", Ausweisung als Mischgebiet, GRZ 0,6, Geschossigkeit III. Eine Bebauung zu Wohnen ist möglich. Vergnügungsstätten sind nicht zulässig.
Es gibt eine erste Prüfung der baulichen Machbarkeit gemäß dem B-Plan. Vorgesehen ist eine offene Bauweise, innerhalb der definierten Baulinie und Baugrenze. Eine Bebauung mit drei Vollgeschossen ist möglich. Bei einer max. Versieglung von 60 %, inkl. Flächen für Stellplatz/Garagen ist eine max. Grundfläche von 180m² möglich. Nach Abzug einer Standard-Doppelgarage würden für den Baukörper ca. 126m² Grundfläche zur Verfügung stehen.
Unter Einhaltung der Abstandsflächen, links und rechts je 3m sowie nach hinten einen Garten mit 5m Tiefe (mind. 3m), ergibt sich für den Baukörper eine Bruttogrundfläche von ca. 90m². Nach der ersten Prüfung ergibt sich entsprechend eine vermietbare Fläche von ca. 70m² pro Vollgeschoss (Wohn- oder Gewerbefläche).
Das Grundstück ist trink- und abwasserseitig erschlossen.
" frisch, engagiert, solide "
Die Künne Immobilien Gruppe ist professioneller Dienstleister der Immobilienbranche und steht Ihnen in den Bereichen Projektentwicklung, Verkauf, Vermietung, Verwaltung und Facility Management zur Verfügung.
Für weitere Informationen und Einblicke besuchen Sie unsere Homepage: www.kuenne-gruppe.de Sie wollen Ihre Immobilie verkaufen? Egal ob Mehrfamilien- oder Einfamilienhaus, Eigentumswohnung, Grundstück oder Neubau- bzw. Bauträgerprojekt. Wir vermitteln kompetent, transparent und zügig Ihre Immobilie, bundesweit.
Lage des Objektes
Das im Osten Leipzigs gelegene Paunsdorf präsentiert sich als ein bemerkenswerter Stadtteil: Umgeben vom Paunsdorfer Wäldchen treffen hier verschiedene Gesichter der Stadt Leipzig aufeinander. Im Viertel befinden sich zudem die Sachsentherme sowie das Paunsdorf-Center.
Der Ortsteil, bekannt für seine Plattenbausiedlungen, hat aber weitaus mehr zu bieten als nur vermeintlich monotone und einfarbige Ost-Architektur. Erreicht man das Stadtviertel aus westlicher Richtung, so gelangt man nach Alt-Paunsdorf und stößt auf dörfliche Strukturen, auf alte und neue Ein- und Mehrfamilienhäuser und insgesamt ein ruhiges und beschauliches Wohnflair.
Einkaufs- und Unterhaltungsmöglichkeiten bietet das sich im Osten des Stadtteils befindliche "Paunsdorf Center", zusammen mit einem großen Supermarkt und anderen Einkaufsmöglichkeiten. In der direkten Umgebung des Grundstückes befinden sich Grünflächen, Wohnhäuser und Gewerbeobjekte.
Der Ortsteil, bekannt für seine Plattenbausiedlungen, hat aber weitaus mehr zu bieten als nur vermeintlich monotone und einfarbige Ost-Architektur. Erreicht man das Stadtviertel aus westlicher Richtung, so gelangt man nach Alt-Paunsdorf und stößt auf dörfliche Strukturen, auf alte und neue Ein- und Mehrfamilienhäuser und insgesamt ein ruhiges und beschauliches Wohnflair.
Einkaufs- und Unterhaltungsmöglichkeiten bietet das sich im Osten des Stadtteils befindliche "Paunsdorf Center", zusammen mit einem großen Supermarkt und anderen Einkaufsmöglichkeiten. In der direkten Umgebung des Grundstückes befinden sich Grünflächen, Wohnhäuser und Gewerbeobjekte.
Anbieter kontaktieren
Anbieter
Marko Künne Immobilien
Käthe-Kollwitz-Str. 58c
04109 Leipzig
Kontakt
| Telefon | 0341 442 9566 |
| Fax | 0341 2253930 |
| Website | www.kuenne-immobilien.de |
