Traumgrundstück in Pullenreuth

Am Pfarranger 17 95704 Pullenreuth
Frei ab: Sofort
65.000 € Kaufpreis
Grundstücksfläche
750 m²

Kaufpreis

Kaufpreis 65.000 €

Wohnfläche, Grundstück & Bausubstanz

Grundstücksfläche750 m²
Verfügbar ab Sofort

Beschreibung der Immobilie

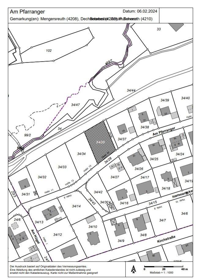
Attraktives Baugrundstück in ruhiger Lage - 750 m² in Pullenreuth

Zum Verkauf steht ein wunderschön gelegenes Grundstück mit einer Fläche von ca. 750 m² in der idyllischen Gemeinde Pullenreuth (PLZ 95704).

Das Grundstück überzeugt durch seine ruhige, naturnahe Lage und bietet gleichzeitig eine gute Anbindung an die umliegenden Städte und die notwendige Infrastruktur. Ob für den Bau eines Einfamilienhauses oder als langfristige Investition - hier eröffnen sich vielseitige Möglichkeiten zur Verwirklichung Ihrer Wohnträume.

Die großzügige Fläche bietet ausreichend Platz für Haus, Garten und individuelle Gestaltungsideen. Genießen Sie die entspannte Umgebung, fernab vom Trubel, und profitieren Sie dennoch von einer angenehmen Erreichbarkeit aller wichtigen Einrichtungen.

Highlights:

Ca. 750 m² Grundstücksfläche
Ruhige und familienfreundliche Lage
Vielseitig bebaubar (je nach Bebauungsplan)
Ideal für Eigennutzer oder Kapitalanleger
Attraktiver Kaufpreis: 65.000 EUR

Nutzen Sie diese Gelegenheit und sichern Sie sich ein Stück Lebensqualität in einer charmanten ländlichen Umgebung!

Bei Interesse oder Fragen freuen wir uns auf Ihre Kontaktaufnahme.

Karte wird geladen...
Am Pfarranger 17
95704 Pullenreuth
Ansprechpartner/in: Herr Justin Kroll
06551-12 0
STREIF Haus GmbH
Josef-Streif-Straße 1, 54595 Weinsheim