Dahlen, ACHTUNG zum 31.12.25 endet der RABATT auf vollerschlossene Grundstücke!
58.484,25 €
Kaufpreis
immobilien.de Nr.: 7171446
Preise & Kosten
| Nebenkosten | keine Angabe |
| Kaufpreis pro m² | 84,15 € |
| Maklerprovision | 0 |
Größe & Zustand
| Grundstücksfläche | 695 m² |
| Baujahr | 2024 |
| Verfügbar ab | sofort |
Objektbeschreibung
Nutzen Sie Ihren Kaufpreisvorteil auf die Rabatt - AKTION auf den reinen Grundstückskaufpreis bis zum 31.12.25. Mit der Sicherung Ihres Wunschgrundstückes sichern Sie sich nicht nur EINEN Kaufvorteil, eine Maklercourtage fällt eh nicht an und die aktuelle KfW-Förderungen ab 0,01% sichert Ihnen beste Finanzierungsmöglichkeiten, worauf warten Sie?
Die Baugrundstücke sind nicht nur vollerschlossen, sind auch strukturell perfekt angebunden. Sie laufen zu Fuß zur S-Bahnstation, welche Sie binnen 30min auf den Leipziger HBF bringt, wohnen unweit von einem Waldgebiet der "Dahlener Heide" und laufen im Sommer zu Fuß zum baden im Natursee, Ruhe und Erholung im eigenen Grundstück, GERNE, Sie haben noch die Wahl!
Die äußere und innere Erschließungsmaßnahmen mit neuer Straße und Hauptleitungen sind fertig, auch die Grundstücksanschlüsse in jedem Baugrundstück sind hergestellt, die Vermessung und Flurstücksbildung ist abgeschlossen, diese Leistungen kommen zum reinen Grundstückskaufpreis dazu.
Beste strukturelle Anbindung nach Leipzig und Oschatz und Autobahn, Sie erreichen zu Fuß Einkaufs-Center, kulinarische Einrichtungen sowie Kindereinrichtungen sind alle vorhanden.
Jetzt alle Vorteile des Grundstück hier kurz zusammengefasst:
bauträger- und provisionsfrei, günstig, vollerschlossen, werthaltig durch Ökologie und Nachhaltigkeit, Geldersparnis auch in ZUKUNFT, Infrastruktur optimal, S-Bahnstation zu Fuss erreichbar, Wald und See in unmittelbarer Nähe, Dahlen hat Stadtrecht mit allen Vorzügen einer Stadt!
Jetzt noch der WINTER- RABATT, Willkommen in Dahlen in Ihren künftigen, neuen Zuhause !
SICHERN SIE IHR GELD IM SACHWERT, GRUNDSTÜCKE UND IMMOBILIEN GEWINNEN IMMER AN WERT ! Vorallem diese GRUNDSTÜCKE! Hier wird ÖKOLOGIE, NACHHALTIGKEIT und EFFIZIENZ in hohem Maße umgesetzt!
Zum Ersten, durch die energetischen Anforderungen an Neubauten planen alle Hausanbieter bereits eine regenerative Heizungsart ein, wie Luft- oder Erdwärmepumpe.
Damit sind Sie UNABHÄNGIG von fossilen Rohstoffen und deren Preise!
Zum Zweiten, durch eine vollbiologische Kleinkläranlage (KKA) leiten Sie kein Abwasser in die öffentliche Kanalisation und sparen sich somit die ABWASSERGEBÜHREN, für IMMER.
Zum Dritten, Ihren Strom werden Sie von einem Netzbetreiber einer Photovoltaikanlage beziehen, welche auf einer Fläche in der Nähe des Baugebietes entsteht. Erste Berechnungen weisen einen HOHEN PREISVORTEIL gegenüber herrkömmlicher Anbieter aus.
Haben Sie Fragen dazu, wir freuen uns auf Sie.
Ansprechpartner: Frau Astrid Veit, Tel.-Nr.: 0341 337 83 48, Email: vertrieb@tok-projekt.de
Die Baugrundstücke sind nicht nur vollerschlossen, sind auch strukturell perfekt angebunden. Sie laufen zu Fuß zur S-Bahnstation, welche Sie binnen 30min auf den Leipziger HBF bringt, wohnen unweit von einem Waldgebiet der "Dahlener Heide" und laufen im Sommer zu Fuß zum baden im Natursee, Ruhe und Erholung im eigenen Grundstück, GERNE, Sie haben noch die Wahl!
Die äußere und innere Erschließungsmaßnahmen mit neuer Straße und Hauptleitungen sind fertig, auch die Grundstücksanschlüsse in jedem Baugrundstück sind hergestellt, die Vermessung und Flurstücksbildung ist abgeschlossen, diese Leistungen kommen zum reinen Grundstückskaufpreis dazu.
Beste strukturelle Anbindung nach Leipzig und Oschatz und Autobahn, Sie erreichen zu Fuß Einkaufs-Center, kulinarische Einrichtungen sowie Kindereinrichtungen sind alle vorhanden.
Jetzt alle Vorteile des Grundstück hier kurz zusammengefasst:
bauträger- und provisionsfrei, günstig, vollerschlossen, werthaltig durch Ökologie und Nachhaltigkeit, Geldersparnis auch in ZUKUNFT, Infrastruktur optimal, S-Bahnstation zu Fuss erreichbar, Wald und See in unmittelbarer Nähe, Dahlen hat Stadtrecht mit allen Vorzügen einer Stadt!
Jetzt noch der WINTER- RABATT, Willkommen in Dahlen in Ihren künftigen, neuen Zuhause !
SICHERN SIE IHR GELD IM SACHWERT, GRUNDSTÜCKE UND IMMOBILIEN GEWINNEN IMMER AN WERT ! Vorallem diese GRUNDSTÜCKE! Hier wird ÖKOLOGIE, NACHHALTIGKEIT und EFFIZIENZ in hohem Maße umgesetzt!
Zum Ersten, durch die energetischen Anforderungen an Neubauten planen alle Hausanbieter bereits eine regenerative Heizungsart ein, wie Luft- oder Erdwärmepumpe.
Damit sind Sie UNABHÄNGIG von fossilen Rohstoffen und deren Preise!
Zum Zweiten, durch eine vollbiologische Kleinkläranlage (KKA) leiten Sie kein Abwasser in die öffentliche Kanalisation und sparen sich somit die ABWASSERGEBÜHREN, für IMMER.
Zum Dritten, Ihren Strom werden Sie von einem Netzbetreiber einer Photovoltaikanlage beziehen, welche auf einer Fläche in der Nähe des Baugebietes entsteht. Erste Berechnungen weisen einen HOHEN PREISVORTEIL gegenüber herrkömmlicher Anbieter aus.
Haben Sie Fragen dazu, wir freuen uns auf Sie.
Ansprechpartner: Frau Astrid Veit, Tel.-Nr.: 0341 337 83 48, Email: vertrieb@tok-projekt.de
Ausstattung
Sonstige Informationen
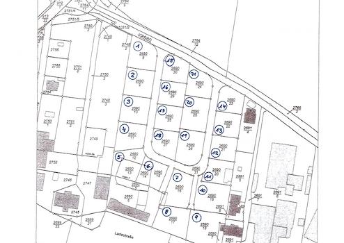
Dieses Angebot bezieht sich auf das Grundstück- Nr. 1 mit 695m² .
Maklercourtage fällt natürlich NICHT an und bis zum 31.12.25 greift unsere RABATT - AKTION !
Damit verringert sich der Grundstückskaufpreis und Sie zahlen statt 99€/m² nur noch 84,15€/m²!
Eine Erschließungs-Pauschale für die äußere Erschließung, eine Pauschale für Vermessung und die Grundstücksanschlüsse kommen zum subventionierten Grundstückskaufpreis dazu !
Sie erwerben ausschließlich über die TOK Projekt Bau GbR die Baugrundstücke mittels notariellen Kaufvertrag.
Ihr Wunschhaus baut Ihnen Ihre gewählte Hausbaufirma, ob Bungolow oder Stadthaus, planen Sie Ihr neues, hochwertiges und werthaltiges Zuhause.
Fordern Sie mehr Informationen ab, lassen Sie sich beraten, wir sind gerne für Sie da!
Unter der Tel.-Nr. 0341- 337 83 48 oder Email Kontakt ist Ihre Ansprechpartnerin- Frau Astrid Veit, Finanzfachwirtin. Ich freue mich auf Sie!
Maklercourtage fällt natürlich NICHT an und bis zum 31.12.25 greift unsere RABATT - AKTION !
Damit verringert sich der Grundstückskaufpreis und Sie zahlen statt 99€/m² nur noch 84,15€/m²!
Eine Erschließungs-Pauschale für die äußere Erschließung, eine Pauschale für Vermessung und die Grundstücksanschlüsse kommen zum subventionierten Grundstückskaufpreis dazu !
Sie erwerben ausschließlich über die TOK Projekt Bau GbR die Baugrundstücke mittels notariellen Kaufvertrag.
Ihr Wunschhaus baut Ihnen Ihre gewählte Hausbaufirma, ob Bungolow oder Stadthaus, planen Sie Ihr neues, hochwertiges und werthaltiges Zuhause.
Fordern Sie mehr Informationen ab, lassen Sie sich beraten, wir sind gerne für Sie da!
Unter der Tel.-Nr. 0341- 337 83 48 oder Email Kontakt ist Ihre Ansprechpartnerin- Frau Astrid Veit, Finanzfachwirtin. Ich freue mich auf Sie!
Lage des Objektes
Dahlen liegt im Herzen von Sachsen, zwischen Leipzig und Oschatz. Ist bekannt durch das Waldgebiet Dahlener Heide und besitzt schon daher einen sehr hohen Wohn- und Wertsteigerungswert.
Sie erwerben ausschließlich das vollerschlossene Grundstück über die TOK Projekt Bau GbR in der Stadt Dahlen, mit allen Vorzügen einer Stadt.
Dahlen- Hainstraße liegt unweit von einem Badesee entfernt, welcher Ihnen und Ihrer Familie im Sommer viel Freizeitspaß bringen wird. Ein weiteres Highligth ist die gute strukturelle Anbindung. Die Bahnstation erreichen Sie zu Fuß, welche Sie binnen 35min. nach Leipzig oder Dresden bringt. Diverse Einkaufsmöglichkeiten, wie Penny, Netto und Aldi sind unweit gelegen. Ihre Kinder werden bestens in Kindereinrichtungen versorgt und Arztpraxen sowie die nahe gelegene Klinik in Schmannewitz sorgen für beste medizinische Versorgung. Aktive Freizeitgestaltung durch Wander- und Fahrradwege sind vielfach vorhanden.
Schaffen Sie sich Ihre grüne Oase mit einem Nachhaltigkeitswert, welcher Ihnen bares Geld sparen wird und die Wertstabilität Ihres Eigentums sichert.
Wir freuen uns auf Sie und sind gerne für Sie da!
Willkommen in Dahlen!
Sie erwerben ausschließlich das vollerschlossene Grundstück über die TOK Projekt Bau GbR in der Stadt Dahlen, mit allen Vorzügen einer Stadt.
Dahlen- Hainstraße liegt unweit von einem Badesee entfernt, welcher Ihnen und Ihrer Familie im Sommer viel Freizeitspaß bringen wird. Ein weiteres Highligth ist die gute strukturelle Anbindung. Die Bahnstation erreichen Sie zu Fuß, welche Sie binnen 35min. nach Leipzig oder Dresden bringt. Diverse Einkaufsmöglichkeiten, wie Penny, Netto und Aldi sind unweit gelegen. Ihre Kinder werden bestens in Kindereinrichtungen versorgt und Arztpraxen sowie die nahe gelegene Klinik in Schmannewitz sorgen für beste medizinische Versorgung. Aktive Freizeitgestaltung durch Wander- und Fahrradwege sind vielfach vorhanden.
Schaffen Sie sich Ihre grüne Oase mit einem Nachhaltigkeitswert, welcher Ihnen bares Geld sparen wird und die Wertstabilität Ihres Eigentums sichert.
Wir freuen uns auf Sie und sind gerne für Sie da!
Willkommen in Dahlen!
