Tankstelle war gestern - Neubauprojekt ist morgen
immobilien.de Nr.: 9131780
Objektnummer: 147586106
Preise & Kosten
| Kaufpreis | Auf Anfrage |
| Nebenkosten | keine Angabe |
Größe & Zustand
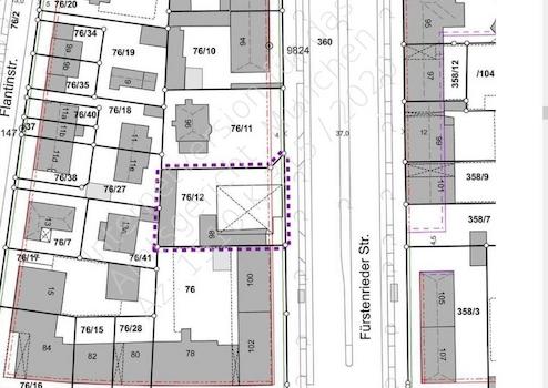
| Grundstücksfläche | 918 m² |
| Verfügbar ab | keine Angabe |
Objektbeschreibung
Das Grundstück ist zu 918 m² mit einer Tankstelle und zwei Garagen bebaut. In einem marktüblichen Liquidationsverfahren erfolgt die Bewertung nach der zukünftigen zulässigen Bebauung. Abbruch- und Freimachungskosten sind berücksichtigt und den Marktverhältnissen angepasst.
Sonstige Informationen
Das Objekt ist im Wege der Zwangsversteigerung zu erwerben.
Objektunterlagen mit Gutachten des vereidigten Sachverständigen liegen vor.
Der Kaufpreis wird im Zwangsversteigerungsverfahren durch Zuschlag unter allen Bietern ermittelt.
Sofern ein Erwerb des Objektes außerhalb des Zwangsversteigerungsverfahrens angestrebt werden soll, werden wir auf der Grundlage eines Geschäftsbesorgungsvertrages tätig.
Objektunterlagen mit Gutachten des vereidigten Sachverständigen liegen vor.
Der Kaufpreis wird im Zwangsversteigerungsverfahren durch Zuschlag unter allen Bietern ermittelt.
Sofern ein Erwerb des Objektes außerhalb des Zwangsversteigerungsverfahrens angestrebt werden soll, werden wir auf der Grundlage eines Geschäftsbesorgungsvertrages tätig.
Lage des Objektes
Der 25. Stadtbezirk liegt zwischen der Schwanthalerhöhe (im Osten) sowie Pasing (im Westen) und erstreckt sich in seiner Nord-Süd-Ausdehnung von den Bahnanlagen Hauptbahnhof-Pasing bis zur Autobahn München-Lindau.
Der Stadtbezirk ist durch die S-Bahn (S-Bahnhof Laim), die U-Bahn (mit drei U-Bahnhaltepunkten) sowie die Trambahnlinie 19 nach Pasing bestens an das übrige Stadtgebiet und das Münchner Umland angebunden.
Laim ist ein nahezu reines Wohngebiet. Entlang der Bahnachse Hauptbahnhof-Pasing, der sogen. DB-Hauptabfuhrstrecke ist eine Verbesserung, sowohl der städtebaulichen, wie der verkehrlichen Situation spürbar und in weiten Teilen bereits abgeschlossen. Hervorzuheben sind die beiden bereits bestehenden Bürogebäude am Laimer Kreisel (Laimer Würfel und Auron), eine architektonische Dominante als Auftakt für das Laimer Zentrum, sowie der Gewerbehof Laim. Daneben entstanden Flächen für rund 2 200 Arbeitsplätze, hauptsächlich im tertiären Bereich.
Der Einzelhandel, mit vielfältigem Angebot, konzentriert sich an der Fürstenrieder Straße, zwischen Landsberger- und Gotthardstraße.
Der Stadtbezirk ist durch die S-Bahn (S-Bahnhof Laim), die U-Bahn (mit drei U-Bahnhaltepunkten) sowie die Trambahnlinie 19 nach Pasing bestens an das übrige Stadtgebiet und das Münchner Umland angebunden.
Laim ist ein nahezu reines Wohngebiet. Entlang der Bahnachse Hauptbahnhof-Pasing, der sogen. DB-Hauptabfuhrstrecke ist eine Verbesserung, sowohl der städtebaulichen, wie der verkehrlichen Situation spürbar und in weiten Teilen bereits abgeschlossen. Hervorzuheben sind die beiden bereits bestehenden Bürogebäude am Laimer Kreisel (Laimer Würfel und Auron), eine architektonische Dominante als Auftakt für das Laimer Zentrum, sowie der Gewerbehof Laim. Daneben entstanden Flächen für rund 2 200 Arbeitsplätze, hauptsächlich im tertiären Bereich.
Der Einzelhandel, mit vielfältigem Angebot, konzentriert sich an der Fürstenrieder Straße, zwischen Landsberger- und Gotthardstraße.
Anbieter kontaktieren
Anbieter
Makler für Immobilien und Versicherungen
Wintermühlenhof 4,
53639 Königswinter
Kontakt
| Telefon | 022239065460 |
| Mobil | 01722903963 |
| Fax | 022239065467 |
| Website | www.hoeppner-immobilien.com |
