Exposé
Objektart:
Grundstück
» Wohnen
» Kauf
Standort: Grundstück »
Deutschland » Bayern » Freyung-Grafenau (Kreis) » Eppenschlag
Schönes Grundstück in sonniger Aussichtslage
Grundstück
Das Wichtigste auf einen Blick:
| Objektnummer: | 9146330 |
Preise
| Kaufpreis | 125.000 € |
| Nebenkosten | keine Angabe |
Flächen
| Grundstücksfläche | 940 m² |
| Maklerprovision | 4.641,00 EUR (inkl. MwSt.) |
Objekt Adresse
94536 Eppenschlag
Sonstige Angaben
| Verfügbar ab | sofort |
Objektbeschreibung
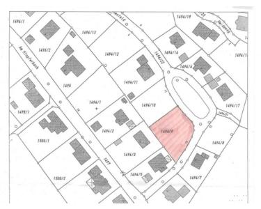
Das Grundstück ist ein voll erschlossenes Baugrundstück für ein Einfamilienhaus mit Satteldach. Eine angenehme Größe, auf der genug Platz ist, wo sich die ganze Familie frei entfalten kann und Ihre Kinder Platz zum Spielen finden. Das Grundstück ist ein beliebtes Eckgrundstück und bietet damit weitere Möglichkeiten zur flexibleren Gestaltung.
Es besteht kein Bauzwang auf dem Grundstück. In der Bauleitplanung Bayern, Bayernatlas, wird auf den Bebauungsplan Klopferbach der Gemeinde Eppenschlag im Landkreis Freyung-Grafenau hingewiesen. Maße der baulichen Nutzung, GRZ 0,3 und GFZ 0,5. Bauweise offen.
Weitere Angebote unter www.GARANT-IMMO.de
Es besteht kein Bauzwang auf dem Grundstück. In der Bauleitplanung Bayern, Bayernatlas, wird auf den Bebauungsplan Klopferbach der Gemeinde Eppenschlag im Landkreis Freyung-Grafenau hingewiesen. Maße der baulichen Nutzung, GRZ 0,3 und GFZ 0,5. Bauweise offen.
Weitere Angebote unter www.GARANT-IMMO.de
Lage des Objektes
Eppenschlag liegt am Tor zum Nationalpark Bayerischer Wald.
Idyllisch zwischen Wiesen und Wäldern lässt es sich hier in hügeliger Landschaft herrlich leben.
Der Autobahnanschluss A3 Passau - Regensburg und weiter Richtung A92 Deggendorf - München ist in ca. einer halben Stunde erreichbar.
Sie können vor Ort in Eppenschlag mit verschiedenen Freizeitaktivitäten starten. Im Ortsteil Fürstberg kommen alle Liebhaber des Schnees auf ihre Kosten. In unmittelbarer Nähe befinden sich hier eine Natureisbahn für die Stockschützen, der Lift auf die Eppenschlager Skipiste und der Ausgangspunkt für die Langlaufloipe.
Zudem führen verschiedene Rundwanderwege in die schöne Natur, oder Sie machen einen Ausflug und erkunden die zahlreichen Attraktionen im Nationalpark mit seinem Tierfreigelände, dem Baumwipfelpfad oder zahlreichen ansprechenden Gipfelwanderungen, wie auf den Lusen.
Idyllisch zwischen Wiesen und Wäldern lässt es sich hier in hügeliger Landschaft herrlich leben.
Der Autobahnanschluss A3 Passau - Regensburg und weiter Richtung A92 Deggendorf - München ist in ca. einer halben Stunde erreichbar.
Sie können vor Ort in Eppenschlag mit verschiedenen Freizeitaktivitäten starten. Im Ortsteil Fürstberg kommen alle Liebhaber des Schnees auf ihre Kosten. In unmittelbarer Nähe befinden sich hier eine Natureisbahn für die Stockschützen, der Lift auf die Eppenschlager Skipiste und der Ausgangspunkt für die Langlaufloipe.
Zudem führen verschiedene Rundwanderwege in die schöne Natur, oder Sie machen einen Ausflug und erkunden die zahlreichen Attraktionen im Nationalpark mit seinem Tierfreigelände, dem Baumwipfelpfad oder zahlreichen ansprechenden Gipfelwanderungen, wie auf den Lusen.
Nachbarschaft
Umgebung
Flurkarte
Parzellarkarte
Werbebild