Exposé
Objektart:
Wohnung
» Erdgeschoss
» Kauf
Standort: Wohnung »
Deutschland » Niedersachsen » Ammerland (Kreis) » Bad Zwischenahn
Moderne provisionsfreie EG-Wohnung mit Garten, Carport, in zentralnaher Lage von Bad Zwischenahn
EG-Wohnung 1.2
Das Wichtigste auf einen Blick:
| Objektnummer: | 9148578 |
Preise
| Kaufpreis | 249.500 € |
| Nebenkosten | keine Angabe |
Flächen
| Wohnfläche | 52,15 m² |
| Maklerprovision | keine Provision, courtagefrei |
Objekt Adresse
26160 Bad Zwischenahn
- Niedersachsen
Sonstige Angaben
| Baujahr | 2025 |
| Zimmer | 2 |
| Verfügbar ab | nach Absprache |
| Bad | 1 |
| Anzahl der Etagen im Haus | 3 |
| Inserat befindet sich im Stockwerk | 0 |
| Bad | 1 |
| Boden | Fliesen, Kunststoff |
| Balkone | 0 |
| Terrassen | 1 |
| Heizungsart | Fußbodenheizung |
| Energieträger/Befeuerung | Luft-Wärme-Pumpe |
Objektbeschreibung
In sehr guter Nähe zum Zentrum von Bad Zwischenahn entsteht das moderne architektonische Mehrparteinhaus mit insgesamt 5 hellen und gut geschnittenen Komfort- Eigentumswohnungen, die über eine Terrasse mit Gartenanteil bzw. einen Balkon verfügen.
Es wurde eine stilvolle und freundliche Architektur konzipiert, bei der Sie Ihre individuellen Wünsche bei der Wohnungsaustattung noch mitgestalten können.
Komfort wird in diesem Haus groß geschrieben.
Die hausinterne Fahrstuhlanlage bringt Sie bequem bis vor die Wohnungstür. Alle Wohnungen erhalten eine moderne Fußbodenheizung mit Einzelraumregelung. Die Beheizung des Hauses erfolgt über eine moderne Luft-Wasser-Wärmepumpe.
Zu jeder Wohnung gehört ein eigener abschließbarer Fahrradabstellraum sowie ein PKW-Stellplatz.
Es wurde eine stilvolle und freundliche Architektur konzipiert, bei der Sie Ihre individuellen Wünsche bei der Wohnungsaustattung noch mitgestalten können.
Komfort wird in diesem Haus groß geschrieben.
Die hausinterne Fahrstuhlanlage bringt Sie bequem bis vor die Wohnungstür. Alle Wohnungen erhalten eine moderne Fußbodenheizung mit Einzelraumregelung. Die Beheizung des Hauses erfolgt über eine moderne Luft-Wasser-Wärmepumpe.
Zu jeder Wohnung gehört ein eigener abschließbarer Fahrradabstellraum sowie ein PKW-Stellplatz.
Ausstattung
Terrasse, Fliesen
Bemerkungen:
- Erstbezug
- provisionsfrei
- fußläufig zum Meer
- fußläufig ins Zentrum (Flaniermeile)
- fußläufig alle Versorgungseinrichtungen (Bäcker, Lebensmittelläden)
- ideal auch als Ferienwohnung geeignet
Wohn- & Nutzfläche:
Wohnfläche: 49,54 m² (Terrasse anteilig eingerechnet)
Nutzfläche: 6,75 m²
Austattung
- inkl. Carportstellplatz
- KfW- 55 Ausführung
- offener Wohn- & Essbereich
- barrierefrei / Personenaufzug
- Terrassenwohnung mit Gartenanteil
- 3-fach Isolierverglasung als Dreh-/ Kippfenster ein- oder zweiflüglig
- alle Fenster verfügen über elektrische Rollläden
- Fliesen- & Vinylboden inkl. Fußbodenheizung mit Einzelraumregelung
- Türgegensprechanlage
- Qualitätsinnentüren
- ansprechende und moderne Sanitärobjekte, z.B. Fabrikat Duravit, Grohe.
- alle Bäder verfügen über eine begehbare & bodengleiche Dusche, ein wandhängendes WC , einen Waschtisch, einen elektrischen Handtuchheizkörper
- wertige Wohnungseingangstür
- umfangreiche Elektroinstallation
- inkl. Waschmaschinen- / Trockneranschluss
- je Wohnung ein zugewiesener PKW-Stellplatz
- je Wohnung ein zugewiesener Abstellraum auf dem Grundstück
Bemerkungen:
- Erstbezug
- provisionsfrei
- fußläufig zum Meer
- fußläufig ins Zentrum (Flaniermeile)
- fußläufig alle Versorgungseinrichtungen (Bäcker, Lebensmittelläden)
- ideal auch als Ferienwohnung geeignet
Wohn- & Nutzfläche:
Wohnfläche: 49,54 m² (Terrasse anteilig eingerechnet)
Nutzfläche: 6,75 m²
Austattung
- inkl. Carportstellplatz
- KfW- 55 Ausführung
- offener Wohn- & Essbereich
- barrierefrei / Personenaufzug
- Terrassenwohnung mit Gartenanteil
- 3-fach Isolierverglasung als Dreh-/ Kippfenster ein- oder zweiflüglig
- alle Fenster verfügen über elektrische Rollläden
- Fliesen- & Vinylboden inkl. Fußbodenheizung mit Einzelraumregelung
- Türgegensprechanlage
- Qualitätsinnentüren
- ansprechende und moderne Sanitärobjekte, z.B. Fabrikat Duravit, Grohe.
- alle Bäder verfügen über eine begehbare & bodengleiche Dusche, ein wandhängendes WC , einen Waschtisch, einen elektrischen Handtuchheizkörper
- wertige Wohnungseingangstür
- umfangreiche Elektroinstallation
- inkl. Waschmaschinen- / Trockneranschluss
- je Wohnung ein zugewiesener PKW-Stellplatz
- je Wohnung ein zugewiesener Abstellraum auf dem Grundstück
Lage des Objektes
In zentralnaher & ruhiger Ortslage des beliebten Kur- und Ferienortes Bad Zwischenahn und fußläufiger Entfernung zum Bad Zwischenahner Meer (ca. 500 m) entsteht ein modernes & repräsentatives Mehrparteienhaus mit 5 Eigentumswohnungen.
Bad Zwischenahn, zu Recht die Perle des Ammerlandes genannt, punktet mit seinem maritimen Charme sowie den zahlreichen Freizeitgestaltungsmöglichkeiten, ausgezeichneten Anbindungen an das umliegende Verkehrsnetz und besonders mit dem drittgrößten Binnengewässer von Niedersachsen das Bad Zwischenahner Meer.
In unmittelbarer Nähe Ihrer neuen Wohnung befindet sich das Kur- und Ortszentrum mit allen Einkaufs- und Versorgungsmöglichkeiten wie z.B. Supermärkte & Bäcker sowie zahlreichen Cafés, Restaurants und vieles mehr.
Die direkte Anbindung an das äußerst weitläufige Wege- und Radwandernetz sowie die kurzen Wege zum Markplatz & Kurpark (ca. 500 m) erhöhen den Wohn- & Freizeitwert in Bad Zwischenahn ungemein.
Infrastruktur (im Umkreis von 5 km):
Apotheke, Lebensmittel-Discount, Allgemeinmediziner, Kindergarten, Grundschule, Hauptschule, Realschule, Gymnasium, Gesamtschule, Öffentliche Verkehrsmittel
Bad Zwischenahn, zu Recht die Perle des Ammerlandes genannt, punktet mit seinem maritimen Charme sowie den zahlreichen Freizeitgestaltungsmöglichkeiten, ausgezeichneten Anbindungen an das umliegende Verkehrsnetz und besonders mit dem drittgrößten Binnengewässer von Niedersachsen das Bad Zwischenahner Meer.
In unmittelbarer Nähe Ihrer neuen Wohnung befindet sich das Kur- und Ortszentrum mit allen Einkaufs- und Versorgungsmöglichkeiten wie z.B. Supermärkte & Bäcker sowie zahlreichen Cafés, Restaurants und vieles mehr.
Die direkte Anbindung an das äußerst weitläufige Wege- und Radwandernetz sowie die kurzen Wege zum Markplatz & Kurpark (ca. 500 m) erhöhen den Wohn- & Freizeitwert in Bad Zwischenahn ungemein.
Infrastruktur (im Umkreis von 5 km):
Apotheke, Lebensmittel-Discount, Allgemeinmediziner, Kindergarten, Grundschule, Hauptschule, Realschule, Gymnasium, Gesamtschule, Öffentliche Verkehrsmittel
Sonstige Informationen
Heizungsart: Fußbodenheizung
Energieträger: Luft-/Wasserwärme
Energieausweis nicht vorhanden
Beratungs- sowie Besichtigungstermine sind nach Terminabsprache kurzfristig auch am Wochenende möglich.
Makleranfragen nicht erwünscht. Nach § 7 UWG sind unaufgeforderte Kontaktaufnahmen durch Makler ohne ausdrückliche Einwilligung des Empfängers verboten!
ohne-makler (OM) ist weder Anbieter noch Vermittler der Immobilie. OM betreibt eine Plattform für Immobilieneigentümer, die unter anderem die gleichzeitige Veröffentlichung einzelner Inserate auf mehreren Immobilienportalen ermöglicht. Die Inhalte dieser Inserate werden ausschließlich von Dritten verantwortet. Für die Richtigkeit, Vollständigkeit oder Rechtmäßigkeit der Angaben übernimmt OM keine Haftung. Hinweise auf mögliche Rechtsverstöße können jederzeit gemeldet werden und werden nach Prüfung umgehend bearbeitet.
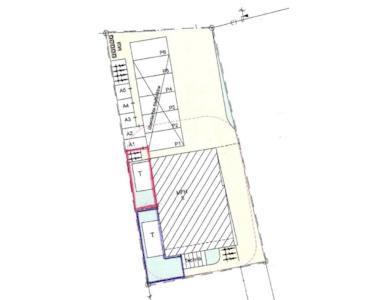
Grundriss EG 1.2