Exposé
Objektart:
Hallen / Lager / Produktion
» Produktion
» Miete
Standort: Hallen / Lager / Produktion »
Deutschland » Bayern » Schwandorf (Kreis) » Schwandorf
VH3489c Neubau - Produktions- oder Lagerhalle in einem Industriegebiet / Nähe Schwandorf
Bild/Grundriss 1
Das Wichtigste auf einen Blick:
| Objektnummer: | 9006772 |
Preise
| Miete für das Objekt | Auf Anfrage |
| Nebenkosten | keine Angabe |
| Kaution | 3 € |
Flächen
| Nutzfläche | 2.575 m² |
| Gesamtfläche | 23.078 m² |
| Freifläche | 20.503 m² |
| Grundstücksfläche | 23.078 m² |
| Maklerprovision | Ortsübliche Provision vom Käufer/Mieter nur im Erfolgsfalle |
Objekt Adresse
92421 Schwandorf
- Bayern
Sonstige Angaben
| Baujahr | 2023 |
| Verfügbar ab | nach Fertigstellung |
| Boden | Estrich |
| Energieträger/Befeuerung | Gas |
Objektbeschreibung
Das zur Vermietung und zum Verkauf stehende Objekt befindet sich in einem Industriegebiet nahe Schwandorf. Über die nahe A93, B15 und B85 ist eine gute regionale und überregionale Verkehrsanbindung gegeben. Eine Güterverkehrsanbindung ist vorhanden.
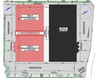
Die Hallenbereiche 3 und 4 werden neu erstellt, durch eine Brandschutzwand getrennt und mit einer gasbefeuerten Fußbodenheizung beheizt. Es ist eine Firsthöhe von ca. 10 m und einer Traufhöhe von ca. 8 m geplant. Sie wird in Stahlbeton-Skelettbauweise errichtet und mit Beton-Sandwichelementen ausgefacht, sodass eine optimale Wärmedämmung gegeben ist. Eine große Anzahl von elektrisch zu öffnenden Lichtkuppeln ergibt eine gute Tagesbelichtung. Es werden mehrere Rolltore mit ca. 5 x 5 m und Andockstationen mit abgetrennten Vorlager errichtet. Auf Mieterwunsch können Büros integriert werden. Die Bodenplatten werden beschichtet und sind mit 1000 kg/m² belastbar.
Das Gewerbeanwesen kann auf geteerter Außenfläche mit Lkws umfahren werden. Es ist komplett eingezäunt und kann über drei elektrische Toranlagen befahren werden.
Die Hallenbereiche 3 und 4 werden neu erstellt, durch eine Brandschutzwand getrennt und mit einer gasbefeuerten Fußbodenheizung beheizt. Es ist eine Firsthöhe von ca. 10 m und einer Traufhöhe von ca. 8 m geplant. Sie wird in Stahlbeton-Skelettbauweise errichtet und mit Beton-Sandwichelementen ausgefacht, sodass eine optimale Wärmedämmung gegeben ist. Eine große Anzahl von elektrisch zu öffnenden Lichtkuppeln ergibt eine gute Tagesbelichtung. Es werden mehrere Rolltore mit ca. 5 x 5 m und Andockstationen mit abgetrennten Vorlager errichtet. Auf Mieterwunsch können Büros integriert werden. Die Bodenplatten werden beschichtet und sind mit 1000 kg/m² belastbar.
Das Gewerbeanwesen kann auf geteerter Außenfläche mit Lkws umfahren werden. Es ist komplett eingezäunt und kann über drei elektrische Toranlagen befahren werden.
Ausstattung
Lage: Nähe Schwandorf
Mietpreis: auf Anfrage
Nebenkosten: werden je nach Nutzung festgelegt
Fläche: ca. 2.575 m²
Grundstück: ca. 23.078 m²
Baujahr: 2023
Kaution: 3 Monatsmieten
Bezug: nach Fertigstellung
teilbar ab: nein
Hallenhöhe: ca. 10 m
Bebauungsplan: ja
Erschließung: erschlossen
Stellplatzanzahl: vorhanden
Stellplatzpreis: EUR 0,-
Lastenaufzug: nein
Bodenbelastung: 1.000 kg/m²
Fußweg zum RVV: 10 min.
Fahrtzeit Bahnhof: 10 min.
Fahrtzeit Autobahn: 5 min.
Fahrtzeit Flughafen: 100 min.
Objekttyp: Industriehalle mit Freifläche
Zustand: Erstbezug
Ausstattung: gehoben
Bodenbelag: Beton
Heizung: Gas-Heizung
Energieträger: Gas
Starkstrom: ja
Rampe: ja
Mietpreis: auf Anfrage
Nebenkosten: werden je nach Nutzung festgelegt
Fläche: ca. 2.575 m²
Grundstück: ca. 23.078 m²
Baujahr: 2023
Kaution: 3 Monatsmieten
Bezug: nach Fertigstellung
teilbar ab: nein
Hallenhöhe: ca. 10 m
Bebauungsplan: ja
Erschließung: erschlossen
Stellplatzanzahl: vorhanden
Stellplatzpreis: EUR 0,-
Lastenaufzug: nein
Bodenbelastung: 1.000 kg/m²
Fußweg zum RVV: 10 min.
Fahrtzeit Bahnhof: 10 min.
Fahrtzeit Autobahn: 5 min.
Fahrtzeit Flughafen: 100 min.
Objekttyp: Industriehalle mit Freifläche
Zustand: Erstbezug
Ausstattung: gehoben
Bodenbelag: Beton
Heizung: Gas-Heizung
Energieträger: Gas
Starkstrom: ja
Rampe: ja
Lage des Objektes
Nähe Schwandorf
Sonstige Informationen
Um eine schnelle Bearbeitung zu gewähren benötigen wir Ihre Telefonnummer sowie Ihre komplette Adresse.
Logo