Exposé
Objektart:
Grundstück
» Wohnen
» Kauf
Standort: Grundstück »
Deutschland » Nordrhein-Westfalen » Mettmann (Kreis) » Velbert
Wohnbauentwicklung als Betongold
Grundstück
Das Wichtigste auf einen Blick:
| Objektnummer: | 8745452 |
Preise
| Kaufpreis | 230.000 € |
| Nebenkosten | keine Angabe |
Flächen
| Grundstücksfläche | 2.921 m² |
| Maklerprovision | 3,57 % vom Kaufpreis inkl. 19 % MwSt. |
Objekt Adresse
42553 Velbert
- Nordrhein-Westfalen
Sonstige Angaben
| Verfügbar ab | keine Angabe |
Objektbeschreibung
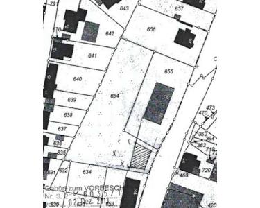
Bebauung: MEHRFAMILIENHAUS mit GARAGE und KELLER ( nur eine der möglichkeiten )
Ein Grundstück für Investoren und ideal für ein Mehrfamilienhaus!
Beispiel:
Ein unterkellertes Mehrfamilienhaus mit 4 Obergeschosswohnungen im östlichen Teil der Straße. Das Kellergeschoss wird als Garage ( ebenerdig im östlichen Teil ) genutzt. Im Westen der Straße können die Keller entstehen.
Das Grundstück hat 2.921 m² und ist ebenerdig und hanglagig. Die zentrale LAGE und die gute ANBINDUNG macht das Grundstück interessant für einen Bauträger, Privatperson oder Gewerbetreibenden.
Senden Sie und Ihre komplette Anfrage mit kompletter ANSCHRIFT, RUFNUMMER und E-Mail zu und Sie erhalten mehr Informationen zum Grundstück !!
Fordern Sie unser EXPOSE an und Sie erhalten Bilder, Flurkarte und weitere Informationen ( u.a. Wohnbauförderung ) !!
Die Stadt Velbert bietet auch Wohnbau- und Wirtschaftsförderung an.
FALC Immobilien Obernburg
Ein Grundstück für Investoren und ideal für ein Mehrfamilienhaus!
Beispiel:
Ein unterkellertes Mehrfamilienhaus mit 4 Obergeschosswohnungen im östlichen Teil der Straße. Das Kellergeschoss wird als Garage ( ebenerdig im östlichen Teil ) genutzt. Im Westen der Straße können die Keller entstehen.
Das Grundstück hat 2.921 m² und ist ebenerdig und hanglagig. Die zentrale LAGE und die gute ANBINDUNG macht das Grundstück interessant für einen Bauträger, Privatperson oder Gewerbetreibenden.
Senden Sie und Ihre komplette Anfrage mit kompletter ANSCHRIFT, RUFNUMMER und E-Mail zu und Sie erhalten mehr Informationen zum Grundstück !!
Fordern Sie unser EXPOSE an und Sie erhalten Bilder, Flurkarte und weitere Informationen ( u.a. Wohnbauförderung ) !!
Die Stadt Velbert bietet auch Wohnbau- und Wirtschaftsförderung an.
FALC Immobilien Obernburg
Ausstattung
Bebauung nach § 34 BauGB:
Bebauung nach § 34 BauGB bezieht sich auf Bauvorhaben in einem im Zusammenhang bebauten Ortsteil. Diese sind zulässig, wenn sie sich nach Art, Maß, Bauweise und überbaubaren Grundstücksflächen in die nähere Umgebung einfügen
Bebauung nach § 34 BauGB bezieht sich auf Bauvorhaben in einem im Zusammenhang bebauten Ortsteil. Diese sind zulässig, wenn sie sich nach Art, Maß, Bauweise und überbaubaren Grundstücksflächen in die nähere Umgebung einfügen
Lage des Objektes
Velbert: Velbert ist eine große kreisangehörige Stadt des Kreises Mettmann in Nordrhein-Westfalen, Deutschland. Sie liegt rund 20 Kilometer nordöstlich der nordrhein-westfälischen Landeshauptstadt Düsseldorf, 18 Kilometer südlich von Essen und 12 Kilometer nordwestlich von Wuppertal auf der linken Seite der Ruhr im Niederbergischen Land und hat ca. 82.000 Einwohner.
( Quelle: wikipedia, Velbert – Wikipedia )
( Quelle: wikipedia, Velbert – Wikipedia )
Sonstige Informationen
Bei Interesse geben Sie bitte immer Ihre vollständigen Kontaktdaten an.
Bitte beachten Sie, dass eigenständige Besichtigungen und Betreten des Grundstücks seitens der Eigentümer, Mieter und Nachbarn unerwünscht sind - vielen Dank für Ihr Verständnis.
Alle Angaben erhalten wir von Dritten, insbesondere Angaben über Fläche und Zustand, Mieteinnahme und objektbezogene Daten. Eine eigene Haftung auf Richtigkeit und Vollständigkeit wird daher ausgeschlossen.
Unser Expose ist nur für Sie bestimmt und eine Weitergabe an Dritte inklusive aller Informationen an Dritte ist unzulässig bzw. nur nach Rücksprache mit uns gestattet.
Alle Angaben zum Objekt erfolgen im Namen unseres Auftraggebers und dienen Ihnen als Interessent einen ersten Eindruck zu bekommen.
Unsere Angebote sind freibleibend. Zwischenverkauf, Zwischenabschluß, Irrtum und Auslassungen bleiben uns vorbehalten.
Provision / Haftung:3,57% vom Kaufpreis inkl.19% MwSt., verdient und fällig bei Vertragsabschluß bzw. Zuschlag vom Käufer zu zahlen.
Das Objekt befindet sich im Alleinauftrag und eine Innenbesichtigung / Außenbesichtigung ist nur nach Terminabsprache mit dem Büro FALC Immobilien Aschaffenburg-Obernburg möglich.
Energieausweis: nicht erforderlich ( Grundstück )
Ansprechpartner: FALC Immobilien Aschaffenburg, Römerstr.46, 63785 Obernburg, Herr Frank Bablick ( Handy: 0172-1416085 ).
Sie haben eine eigene Immobilie! Lassen Sie diese durch uns kostenlos bewerten:
https://www.falcimmo.de/immobilien-obernburg.html
Sie wollen Ihre Immobilie ebenfalls professionell vermarkten, rufen Sie uns an, unsere kostenlose Hotline 0800-6460646 steht Ihnen von Mo. bis So. von 6.00 - 22.00 Uhr persönlich zur Seite, über 50.000 aktive Interessenten warten bereits auf Sie.
Grundstück-Velbert